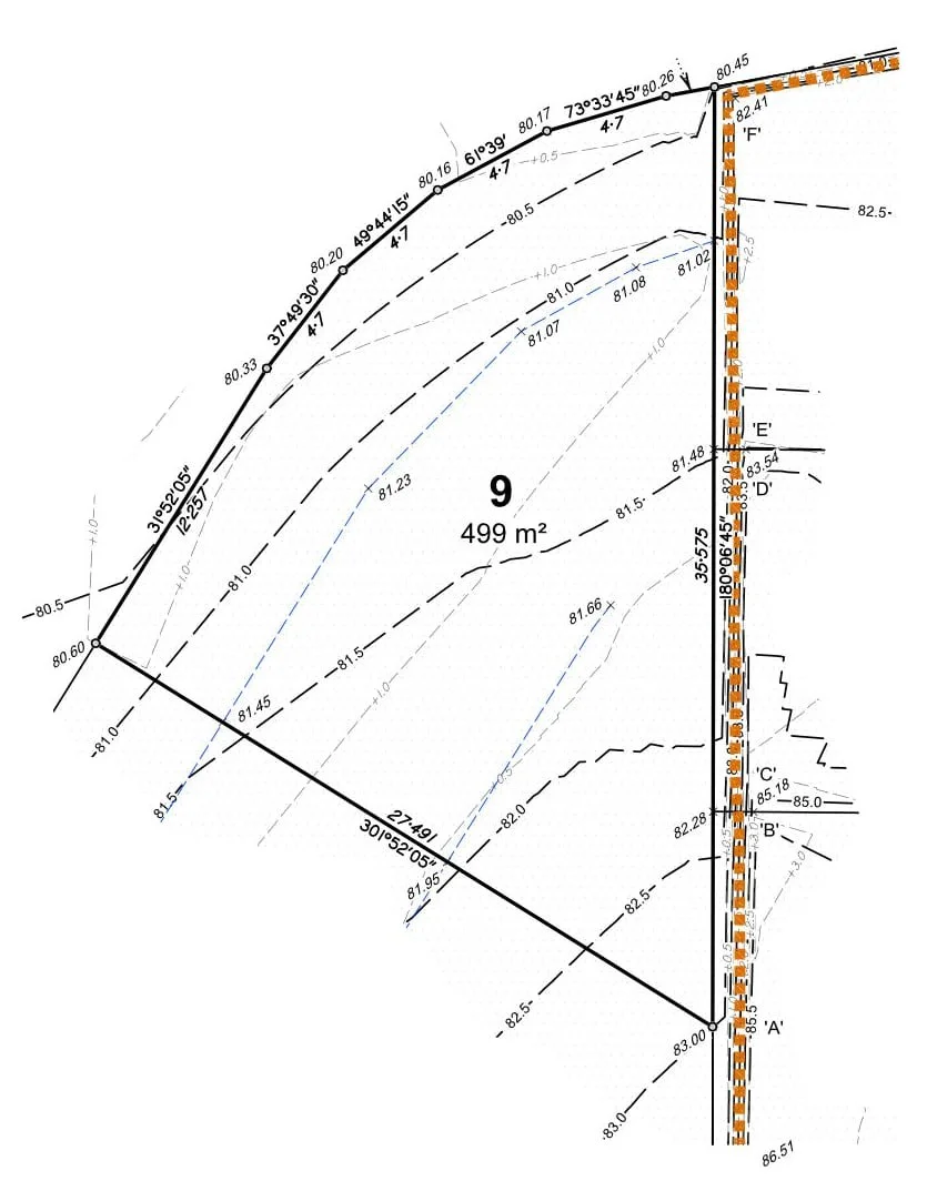
Disclosure Plan For
Proposed LOT 9
Here’s your chance to secure your spot in the heart of the picturesque Scenic Rim. Nestled amongst some of Queensland’s best wineries, breweries and farms, Oakland Estate is 339hA of rolling countryside ready for you to build your dream home and create a life you love.

